Beach, Los Angeles, CA

$15,000

Previous Next

0.03

Acres

About Beach

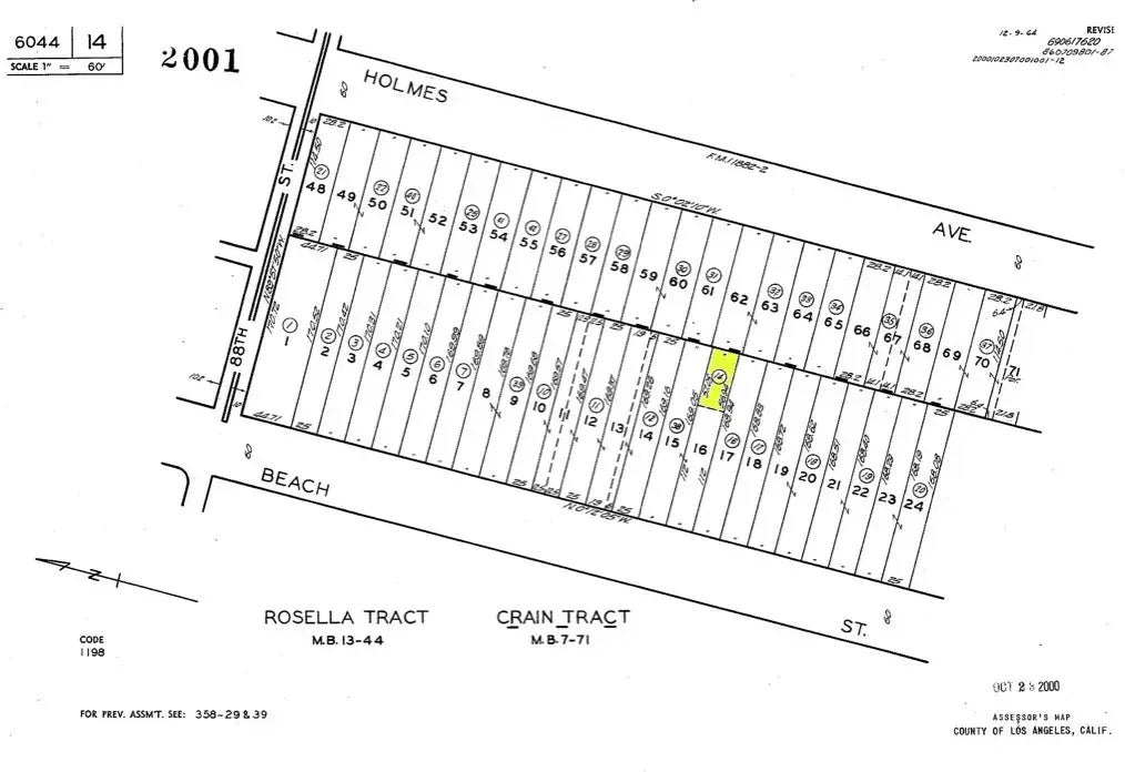
Great opportunity to own a compact infill lot in a well-established residential neighborhood of Los Angeles, located just off Beach Street and near Holmes Avenue. This 1,411 square foot lot (APN: 6044-014-014) sits mid-block between existing homes, offering rear alley access and close proximity to utilities. The parcel is surrounded by single-family residences and is ideally positioned near schools, parks, and local amenities. A rare chance to secure a small piece of land in a densely developed area of the city. ****No soils reports, surveys, etc., have been done. Buyer and buyer's agent to verify all information with the city or county for allowable uses and requirements and rely on their own investigations. **Buyer responsible for checking zoning, utilities, permits and exact property boundaries. ****

Features of Beach

MLS® # SW25110182
Price $15,000
Acres 0.03
Type Land
Sub-Type Lots/Land
Status Active

Community Information

Address Beach
Area LOS ANGELES (90002)
City Los Angeles
County Los Angeles
State CA
Zip Code 90002

Amenities

Utilities N/K
Is Waterfront No
Has Pool Yes

Interior

Fireplace Yes

Additional Information

Date Listed May 16th, 2025
Days on Market 61
Foreclosure No
Short Sale No
RE / Bank Owned No

Listing Details

OfficeSteve Welty & Associates Inc

Listing Map

Request a Showing

Provide a valid email address.
When would you like to view this property?