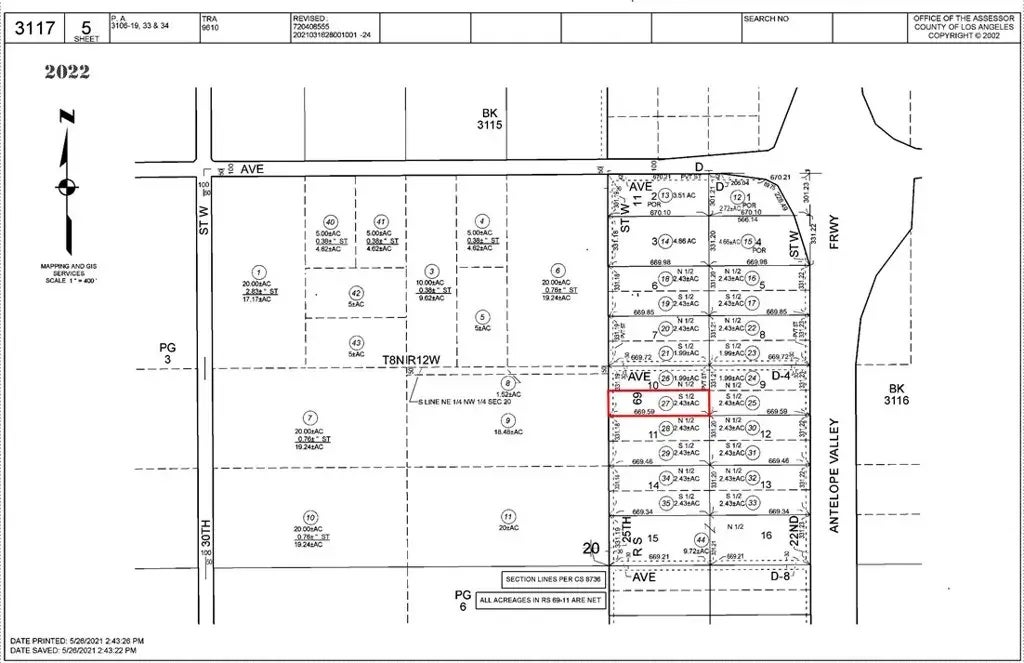
Vic 25 Th Stw Ave #d4, Lancaster, CA

$32,900

Previous Next

2.54

Acres

About Vic 25 Th Stw Ave #d4

Industrial opportunity on 2.54 acres in Lancaster with M-1 Light Manufacturing zoning just 0.3 miles from Antelope Valley Freeway. Level desert terrain offers excellent access for commercial development, storage, or light industrial uses. Dirt road frontage with flat topography makes site preparation straightforward. Off-grid utilities required. Prime location in growing Antelope Valley market with easy freeway access for logistics and distribution operations. Ideal for investors seeking affordable industrial land in Los Angeles County. Drive by anytime - coordinates 34.77258, -118.17449.

Features of Vic 25 Th Stw Ave #d4

MLS® # ND25225983
Price $32,900
Acres 2.54
Type Land
Sub-Type Lots/Land
Status Active

Community Information

Address Vic 25 Th Stw Ave #d4
Area LANCASTER (93536)
City Lancaster
County Los Angeles
State CA
Zip Code 93536

Amenities

Utilities Cable TV,Electric,N/K
Is Waterfront No
Has Pool Yes

Interior

Fireplace Yes

Additional Information

Date Listed September 30th, 2025
Foreclosure No
Short Sale No
RE / Bank Owned No

Listing Details

OfficeLoanstar Financial

Listing Map

Request a Showing

Provide a valid email address.
When would you like to view this property?