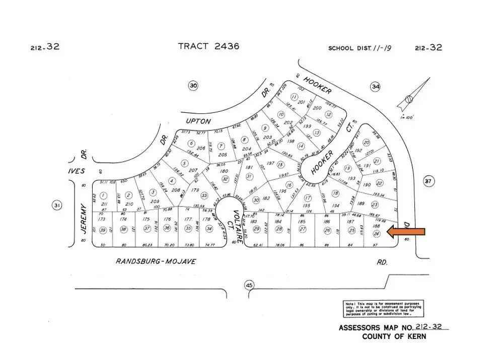
Hooker, California City, CA

$19,500

Previous Next

0.26

Acres

About Hooker

Large lot to build a duplex or bigger. Large lot with electrical poles on the lot. Close to prison, which recently re-opened. Easy commute to the mines and the base.

Features of Hooker

MLS® # CV25181378
Price $19,500
Acres 0.26
Type Land
Sub-Type Lots/Land
Status Active

Community Information

Address Hooker
Area CALIFORNIA CITY (93505)
City California City
County Kern
State CA
Zip Code 93505

Amenities

Is Waterfront No
Has Pool Yes

Interior

Fireplace Yes

Additional Information

Date Listed August 11th, 2025
Days on Market 1
Foreclosure No
Short Sale No
RE / Bank Owned No

Listing Details

OfficeDESERT ROSE REALTY

Listing Map

Request a Showing

Provide a valid email address.
When would you like to view this property?