W Avenue I, Lancaster, CA

$23,998

Previous Next

5.03

Acres

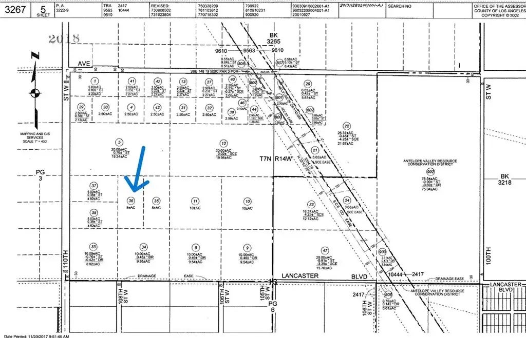
About W Avenue I

Discover the potential of this 5.03-acre rectangular parcel located near Avenue I-4 and 108th Street West in the rural Del Sur area of West Lancaster. Measuring approximately 330 feet wide by 660 feet deep, this flat and usable lot is zoned LCA22*, allowing for agricultural, residential, and equestrian use. Whether you're planning a custom home, ranch, off-grid retreat, or a long-term land investment, this parcel offers flexibility and space at an attractive price point. Surrounded by open desert views and similar large-lot properties, yet just a short drive from paved roads and growing development, its a smart choice for investors seeking value in the Antelope Valley.

Features of W Avenue I

MLS® # CV25086090
Price $23,998
Acres 5.03
Type Land
Sub-Type Lots/Land
Status Active

Community Information

Address W Avenue I
Area LANCASTER (93536)
City Lancaster
County Los Angeles
State CA
Zip Code 93536

Amenities

Is Waterfront No
Has Pool Yes

Interior

Fireplace Yes

Additional Information

Date Listed April 15th, 2025
Days on Market 126
Foreclosure No
Short Sale No
RE / Bank Owned No

Listing Details

OfficeAC REAL ESTATE SERVICES, INC.

Listing Map

Request a Showing

Provide a valid email address.
When would you like to view this property?