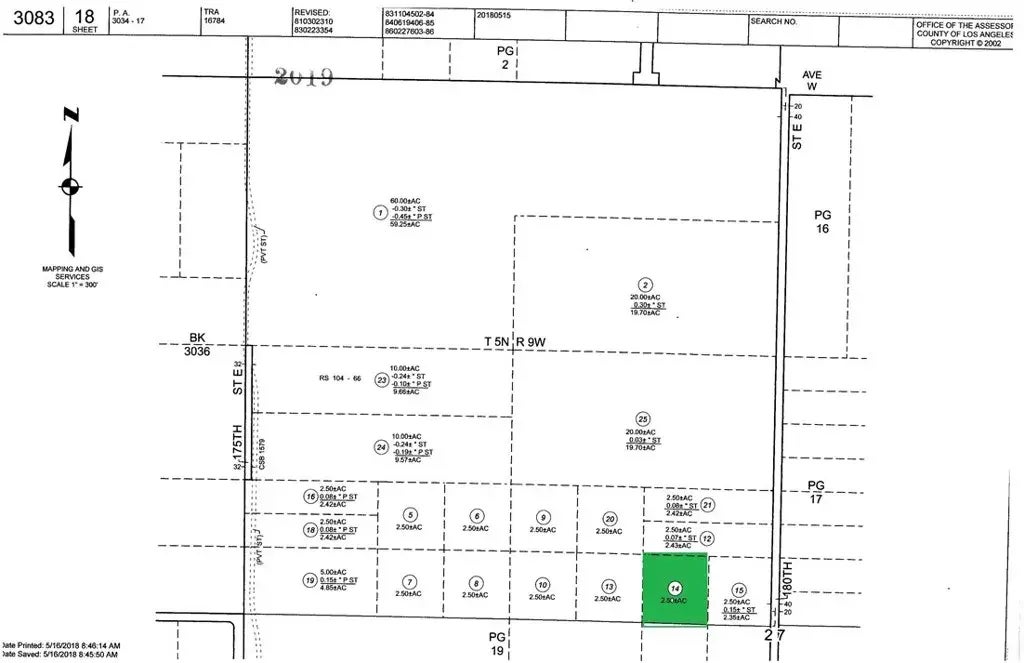
179th East, Llano, CA

$30,000

Previous Next

2.55

Acres

About 179th East

Llano - Investment parcel or build your ranch home. Manufactured homes are allowed. Quiet rural area just south of Highway 138.

Features of 179th East

MLS® # SR25187149
Price $30,000
Acres 2.55
Type Land
Sub-Type Lots/Land
Status Active

Community Information

Address 179th East
Area PALMDALE (93591)
City Llano
County Los Angeles
State CA
Zip Code 93591

Amenities

Utilities N/K
Is Waterfront No
Has Pool Yes

Interior

Fireplace Yes

Additional Information

Date Listed August 19th, 2025
Days on Market 42
Foreclosure No
Short Sale No
RE / Bank Owned No

Listing Details

OfficeHomeBased Realty

Listing Map

Request a Showing

Provide a valid email address.
When would you like to view this property?