Vac/cor Avenue H8/102 Ste, Lancaster, CA

$20,000

Previous Next

2.52

Acres

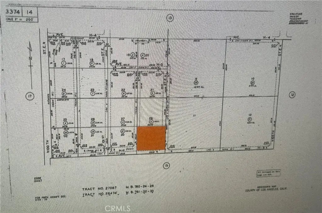
About Vac/cor Avenue H8/102 Ste

2.5 Acres of land.Off of Ave H. Power 3 blocks from 100th STE. Buyers must do their own investigation about Zoning, Plan Designation, Hazards Zones, availability and cost of utilities.

Features of Vac/cor Avenue H8/102 Ste

MLS® # SR25129485
Price $20,000
Acres 2.52
Type Land
Sub-Type Lots/Land
Status Active

Community Information

Address Vac/cor Avenue H8/102 Ste
Area LANCASTER (93535)
City Lancaster
County Los Angeles
State CA
Zip Code 93535

Amenities

Is Waterfront No
Has Pool Yes

Interior

Fireplace Yes

Exterior

Lot Description Corner Lot

Additional Information

Date Listed June 7th, 2025
Days on Market 26
Foreclosure No
Short Sale No
RE / Bank Owned No

Listing Details

OfficeCentury 21 American Real Estate

Listing Map

Request a Showing

Provide a valid email address.
When would you like to view this property?