W 110th St W And Avenue C14, Lancaster, CA

$29,000

Previous Next

4.14

Acres

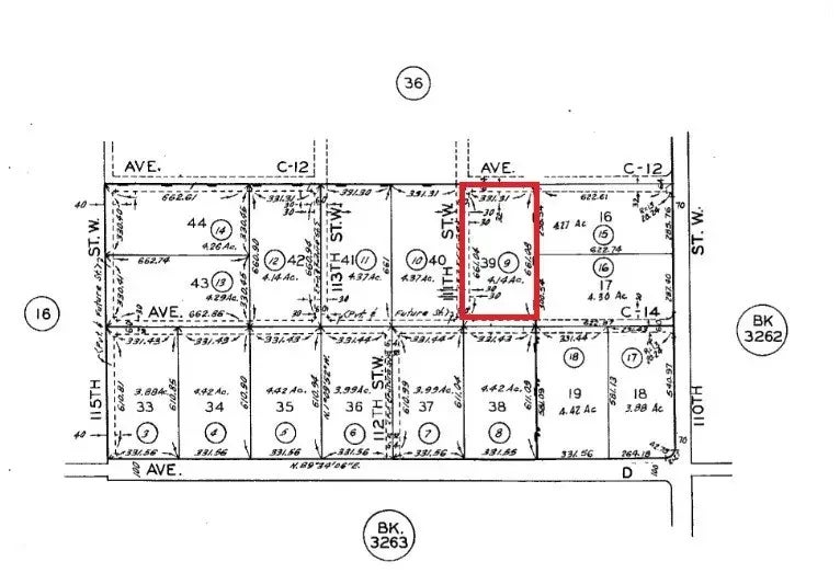
About W 110th St W And Avenue C14

4.14 acres on 111th St West and Avenue C14 in the Antelope Acres area. This level parcel is located just one lot away from paved 110th St West and power. It's just minutes away from downtown Antelope Acres with restaurants and markets.

Features of W 110th St W And Avenue C14

MLS® # SR25063406
Price $29,000
Acres 4.14
Type Land
Sub-Type Lots/Land
Status Active

Community Information

Address W 110th St W And Avenue C14
Area LANCASTER (93536)
City Lancaster
County Los Angeles
State CA
Zip Code 93536

Amenities

Utilities Electric,Propane
Is Waterfront No
Has Pool Yes

Interior

Fireplace Yes

Exterior

Lot Description Corner Lot

Additional Information

Date Listed March 23rd, 2025
Days on Market 177
Foreclosure No
Short Sale No
RE / Bank Owned No

Listing Details

OfficeGolden Valley Real Estate

Listing Map

Request a Showing

Provide a valid email address.
When would you like to view this property?