E 165th St East And Avenue E2, Lancaster, CA

$10,000

Previous Next

4.62

Acres

About E 165th St East And Avenue E2

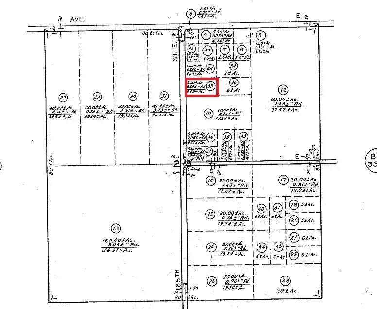
4.62 acres at 165th Street East and Avenue E2 in the High Vista area. Level parcel with legal access located about 1 3/4 miles north of paved Avenue G. Offered at a great low price!

Features of E 165th St East And Avenue E2

MLS® # SR24123072
Price $10,000
Acres 4.62
Type Land
Sub-Type Lots/Land
Status Active

Community Information

Address E 165th St East And Avenue E2
Area LANCASTER (93535)
City Lancaster
County Los Angeles
State CA
Zip Code 93535

Amenities

Utilities N/K
Is Waterfront No
Has Pool Yes

Interior

Fireplace Yes

Additional Information

Date Listed June 16th, 2024
Days on Market 381
Foreclosure No
Short Sale No
RE / Bank Owned No

Listing Details

OfficeGolden Valley Real Estate

Listing Map

Request a Showing

Provide a valid email address.
When would you like to view this property?