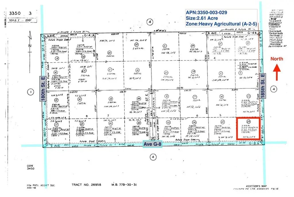
45501 185th East, Lancaster, CA

$16,900

Previous Next

2.61

Acres

About 45501 185th East

Positioned in the tranquil high desert, this 2.6-acre corner parcel offers the rare opportunity to shape a vision from the ground up. Zoned A-2-5 (Heavy Agricultural), the land welcomes a range of possibilitiescultivating crops, establishing greenhouses, grazing livestock, creating equestrian facilities, or designing a private rural retreat. The level, rectangular terrain unfolds under expansive skies, framed by sweeping mountain and desert vistas. Here, space and privacy are abundant, yet Lancasters amenities remain within easy reach. Whether for agricultural enterprise, a custom residence, or as a strategic long-term investment, this property offers a canvas as open as the landscape itself.

Features of 45501 185th East

MLS® # SB25184200
Price $16,900
Acres 2.61
Type Land
Sub-Type Lots/Land
Status Active

Community Information

Address 45501 185th East
Area LANCASTER (93535)
City Lancaster
County Los Angeles
State CA
Zip Code 93535

Amenities

Utilities N/K
Is Waterfront No
Has Pool Yes

Interior

Fireplace Yes

Exterior

Lot Description Corner Lot

Additional Information

Date Listed August 13th, 2025
Days on Market 2
Foreclosure No
Short Sale No
RE / Bank Owned No

Listing Details

OfficeEquity Union

Listing Map

Request a Showing

Provide a valid email address.
When would you like to view this property?