W. Avenue F-4, Lancaster, CA

$42,500

Previous Next

3.01

Acres

About W. Avenue F-4

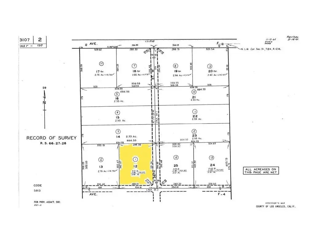
Presenting an exceptional opportunity to acquire a 3.01-acre (131,195 sq. ft.) parcel situated within the Fox Field Specific Plan area of Lancaster, CA. This property is designated for light industrial use, offering a versatile foundation for various industrial developments. Key Features: Zoning: Located within the Fox Field Specific Plan, permitting light industrial applications. Lot Size: Approximately 3.01 acres (131,195 sq. ft.), providing ample space for development. Topography: Mostly flat terrain, ideal for various industrial uses. Accessibility: Situated approximately 900 feet south of West Avenue F, a paved road, and about 1.5 miles west of California State Highway 14, ensuring convenient access. Utilities: Buyer to verify the proximity and availability of utilities with the appropriate agencies.

Features of W. Avenue F-4

MLS® # PW24250375
Price $42,500
Acres 3.01
Type Land
Sub-Type Lots/Land
Status Active

Community Information

Address W. Avenue F-4
Area LANCASTER (93536)
City Lancaster
County Los Angeles
State CA
Zip Code 93536

Amenities

Is Waterfront No
Has Pool Yes

Interior

Fireplace Yes

Additional Information

Date Listed December 11th, 2024
Days on Market 203
Foreclosure No
Short Sale No
RE / Bank Owned No

Listing Details

OfficeJorge Granados, Broker

Listing Map

Request a Showing

Provide a valid email address.
When would you like to view this property?