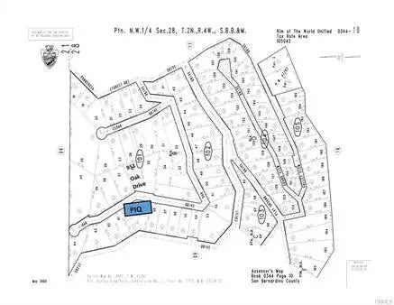
22634 Oak Drive, Crestline, CA

$12,800

Previous Next

0.10

Acres

About 22634 Oak Drive

Small lot at a small price. Take a look and see how your dreams can be realized with this great opportunity. Owners owns several of these parcels in the area. If this one does not fit your needs, we may have others in the same price range.

Features of 22634 Oak Drive

MLS® # JT24080380
Price $12,800
Acres 0.10
Type Land
Sub-Type Lots/Land
Status Active

Community Information

Address 22634 Oak Drive
Area CRESTLINE (92325)
City Crestline
County San Bernardino
State CA
Zip Code 92325

Amenities

Is Waterfront No
Has Pool Yes

Interior

Fireplace Yes

Exterior

Lot Description National Forest

Additional Information

Date Listed April 22nd, 2024
Days on Market 436
Foreclosure No
Short Sale No
RE / Bank Owned No

Listing Details

OfficeGREEN Real Estate Group

Listing Map

Request a Showing

Provide a valid email address.
When would you like to view this property?