116th, Littlerock, CA

$25,000

Previous Next

1.00

Acre

About 116th

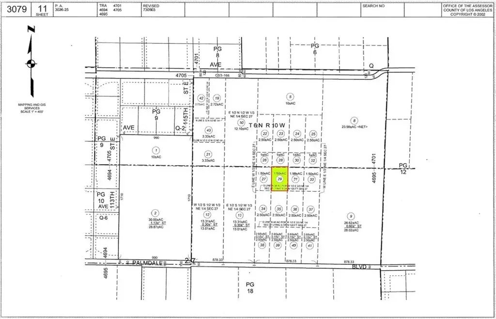
APN# 3079-011-028 Coordinates: 34.583762, -117.920058 1 Acre Great Location close to schools and Shopping also located close to major Hwy Palmdale Blvd. Nice and Flat land ready for your Mobile home or home. Parcel below this one is also being sold separately 3079-011-029 1.6Acres

Features of 116th

MLS® # IV25113742
Price $25,000
Acres 1.00
Type Land
Sub-Type Lots/Land
Status Active

Community Information

Address 116th
Area LITTLEROCK (93543)
City Littlerock
County Los Angeles
State CA
Zip Code 93543

Amenities

Is Waterfront No
Has Pool Yes

Interior

Fireplace Yes

Additional Information

Date Listed May 20th, 2025
Days on Market 120
Foreclosure No
Short Sale No
RE / Bank Owned No

Listing Details

OfficeHOME & LAND SOURCE

Listing Map

Request a Showing

Provide a valid email address.
When would you like to view this property?