E Avenue F, Lancaster, CA

$20,000

Previous Next

2.58

Acres

About E Avenue F

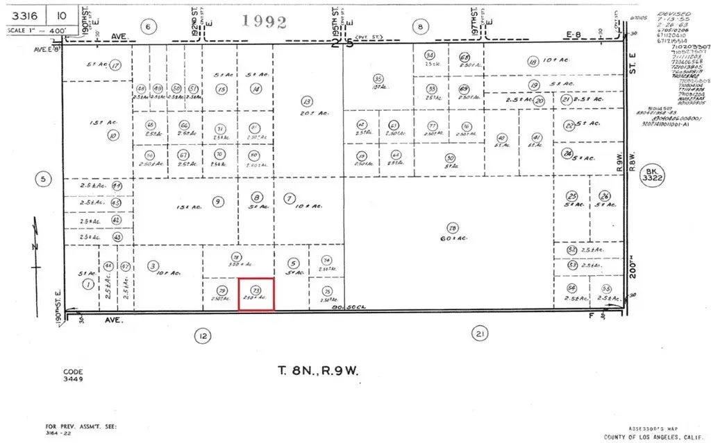
APN: 3316-010-073 Coordinates: 34.749806, -117.786500 2.58 acres for sale in LA County. This property is located in the High Vista area of Lancaster, CA near the corner of 195th St E and E Ave F. Zoning is LCA11, per county records, for agricultural use. Property is located on a marked road not far from other homes. Great location to build a home.

Features of E Avenue F

MLS® # IV25111681
Price $20,000
Acres 2.58
Type Land
Sub-Type Lots/Land
Status Active

Community Information

Address E Avenue F
Area LANCASTER (93535)
City Lancaster
County Los Angeles
State CA
Zip Code 93535

Amenities

Is Waterfront No
Has Pool Yes

Interior

Fireplace Yes

Additional Information

Date Listed May 19th, 2025
Days on Market 121
Foreclosure No
Short Sale No
RE / Bank Owned No

Listing Details

OfficeHOME & LAND SOURCE

Listing Map

Request a Showing

Provide a valid email address.
When would you like to view this property?