657 Perkins, California City, CA

$4,950

Previous Next

1.98

Acres

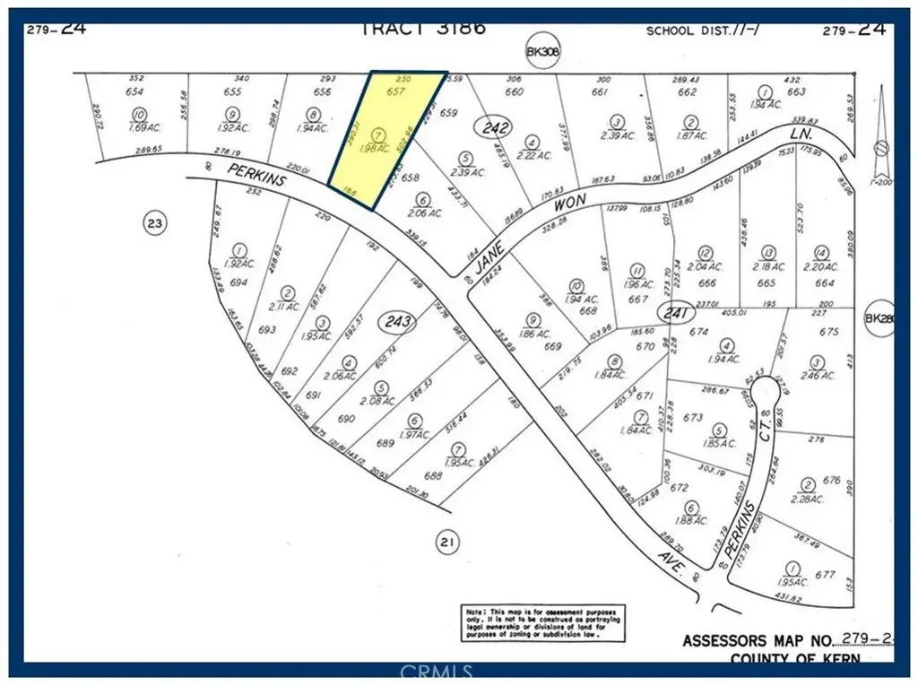
About 657 Perkins

Lot 657 Map 3186, 1.98 Acres, (Apn: 279-242-07-007) GPS: 35.21294, -117.79658 on Perkins Ave in California City, CA. California City is in northern Antelope Valley in Kern County. California City is 18 miles northwest of Edwards Air Force Base, 40 miles north of Lancaster and 28 miles east of Tehachapi. California City has zoned this property as R4 Residential. According to the City the following uses are permitted: Single Family Dwellings, riding stables, corrals and animal keeping. No utilities are currently available to this lot. Electricity is aprox 1.2 miles east. Please check with the City for water and sewer distance. Use the GPS coordinates to locate the property. GPS: 35.21294, -117.79658

Features of 657 Perkins

MLS® # HD25165728
Price $4,950
Acres 1.98
Type Land
Sub-Type Lots/Land
Status Active

Community Information

Address 657 Perkins
Area CALIFORNIA CITY (93505)
City California City
County Kern
State CA
Zip Code 93505

Amenities

Utilities N/K
Is Waterfront No
Has Pool Yes

Interior

Fireplace Yes

Additional Information

Date Listed July 22nd, 2025
Days on Market 1
Foreclosure No
Short Sale No
RE / Bank Owned No

Listing Details

OfficeLandcore Realty

Listing Map

Request a Showing

Provide a valid email address.
When would you like to view this property?