39455 National Trails, Daggett, CA

$950,000

Previous Next

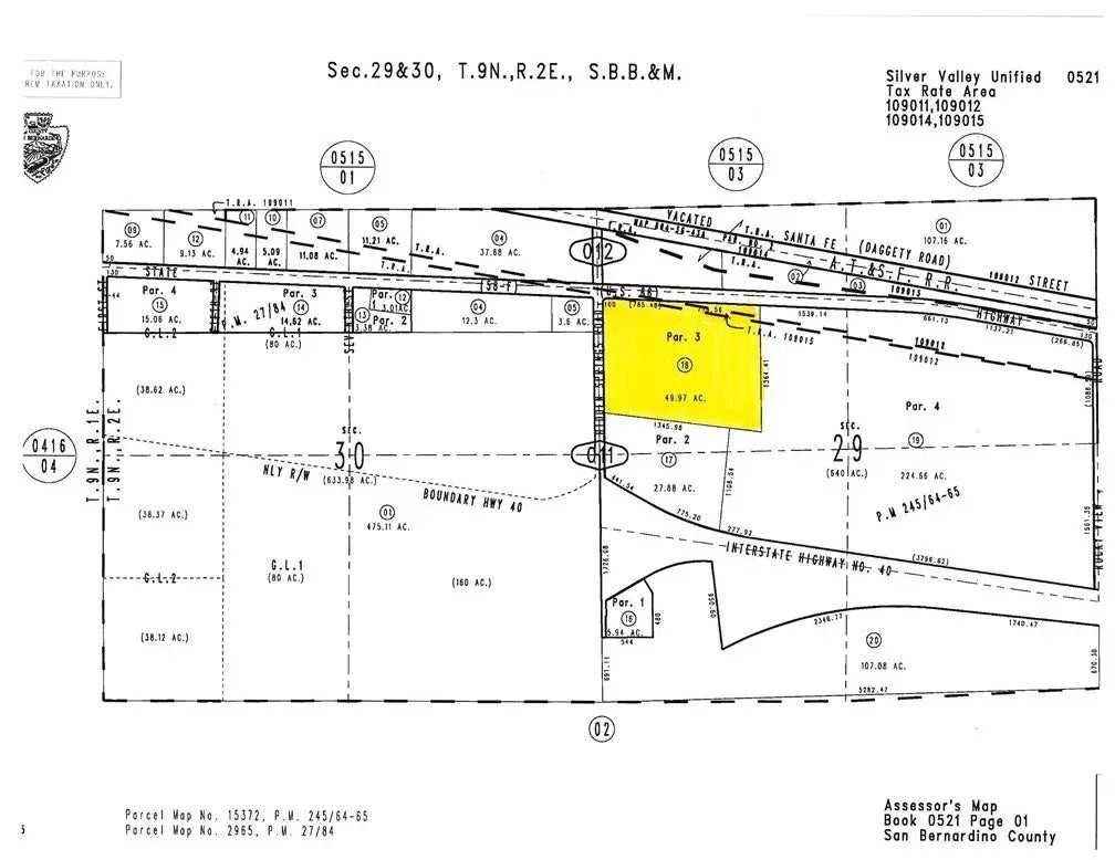
49.97

Acres

About 39455 National Trails

Seize this exceptional opportunity to acquire this 49.97 acre parcel, strategically positioned adjacent to Interstate 40 and in close proximity to Daggett Airport in Daggett, California. The parcel is zoned for Highway Commercial, with utilities conveniently adjacent to the property. This region is experiencing a surge in transformative infrastructure investments. BNSF Railways $1.5 billion Barstow International Gateway project will bring a 4,500-acre integrated rail facility to the area, creating thousands of jobs and boosting logistics capabilities. Brightline Wests 218-mile high-speed rail connecting Las Vegas to Southern Californiawith stations in nearby Victor Valleyis set to launch by 2028. Additionally, the High Desert Corridor Project is advancing a new high-speed rail line to enhance regional connectivity and economic growth. With approximately 16,500 vehicles passing daily on Interstate 40 and Hidden Springs Road, the properties enjoy high visibility and accessibilitymaking them ideal for commercial ventures. The combination of prime location, zoning flexibility, and proximity to major transportation and infrastructure projects makes this an exceptional investment opportunity in a rapidly growing corridor. Please note this parcel is one of four available contiguous parcels, totaling 409.60 acres for sale.

Features of 39455 National Trails

MLS® # HD25073163
Price $950,000
Acres 49.97
Type Land
Sub-Type Lots/Land
Status Active

Community Information

Address 39455 National Trails
Area DAGGETT (92327)
City Daggett
County San Bernardino
State CA
Zip Code 92327

Amenities

Utilities Electric
Is Waterfront No
Has Pool Yes

Interior

Fireplace Yes

Additional Information

Date Listed April 3rd, 2025
Days on Market 90
Foreclosure No
Short Sale No
RE / Bank Owned No

Listing Details

OfficeLee & Associates

Listing Map

Request a Showing

Provide a valid email address.
When would you like to view this property?