19 Acoma, Desert Hot Springs, CA

$37,950

Previous Next

0.15

Acres

About 19 Acoma

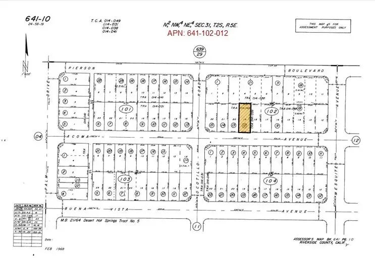
Residential Lot 19, 0.15 Acres (APN: 641-102-012) GPS: 33.96063, -116.49833 Lot 19, 6543 sq ft located in Desert Hot Springs, CA. The city of Desert Hot Springs has designated this property as Mixed Use Neighborhood (MUN). The district is intended to provide local- and neighborhood-supporting mixed-use activity centers with maximum residential densities of 15 dwelling units per acre and/or nonresidential intensity with a maximum floor area ratio (FAR) of 1.0. Commercial retail uses are the primary uses allowed on the ground floor. Professional office and residential uses are also allowed, either integrated with a commercial use or as separate, freestanding use. Easy walkable access from residential neighborhoods and pedestrian orientation are key considerations in the location and site design of mixed-use developments in this zone. According to the planning dept a manufactured home is permitted w/permanent foundation and 2 car garage (HCD compliant and 10 years or newer). DHS Planning Dept also states water and sewer are in the street, overhead power is also on site. Desert Hot Springs, CA, is a great place to call home for those seeking natural beauty and relaxation. Famous for its natural hot springs and breathtaking mountain views, it offers a peaceful, resort-like atmosphere. With affordable housing options, it's a perfect choice for families, retirees, or anyone looking to enjoy the laid-back desert lifestyle. Plus, the community is growing, and its close proximity to Palm Springs means you get the best of both worldsquiet living with easy access to shopping, dining, a

Features of 19 Acoma

MLS® # HD24213322
Price $37,950
Acres 0.15
Type Land
Sub-Type Lots/Land
Status Active

Community Information

Address 19 Acoma
Area RIV CTY-DESERT HOT SPRI (92240)
City Desert Hot Springs
County Riverside
State CA
Zip Code 92240

Amenities

Utilities Electric
Is Waterfront No
Has Pool Yes

Interior

Fireplace Yes

Additional Information

Date Listed October 13th, 2024
Days on Market 271
Foreclosure No
Short Sale No
RE / Bank Owned No

Listing Details

OfficeLandcore Realty

Listing Map

Request a Showing

Provide a valid email address.
When would you like to view this property?