Greenwood, California City, CA

$15,900

Previous Next

0.22

Acres

About Greenwood

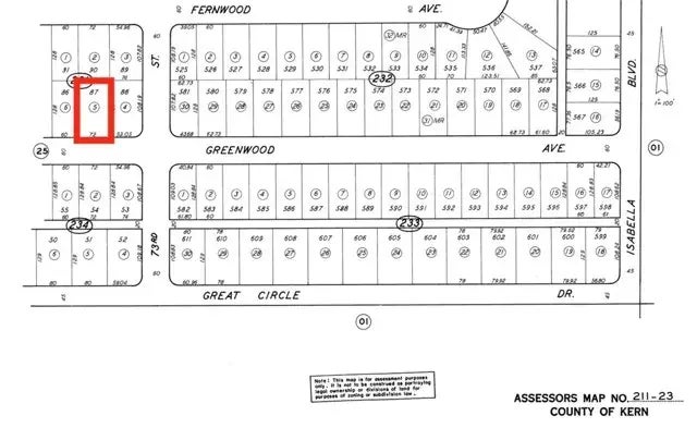
California City - Nice flat land 9,365 SQFT Come see the city that takes its namesake from the Golden State. Maybe buy a piece of land while you're up. This piece of land. Why would you want it? Some Day development will make its way to this end of the Mojave. There's some here already, Well there is this lot.. A little bit of desert sand to call your own. Power is a little ways away. Reach out to California City Water Dept & their Sanitation division for more info on water & sewer service. Feel free to take a drive by the lot: CA City BLVD L on 72nd, R on Dogwood, Follow until it become 71st, pass pavement end, L on Greenwood 35.119643N, 117.998727W Copy and paste the coordinates to google maps for a pin with the location.

Features of Greenwood

MLS® # HD23213621
Price $15,900
Acres 0.22
Type Land
Status Active

Community Information

Address Greenwood
Area CALIFORNIA CITY (93505)
City California City
County Kern
State CA
Zip Code 93505

Amenities

Utilities N/K
Is Waterfront No
Has Pool Yes

Interior

Fireplace Yes

Additional Information

Date Listed November 17th, 2023
Days on Market 641
Foreclosure No
Short Sale No
RE / Bank Owned No

Listing Details

OfficeExcellence RE Real Estate

Listing Map

Request a Showing

Provide a valid email address.
When would you like to view this property?