E Avenue G-10, Lancaster, CA

$15,000

Previous Next

3.08

Acres

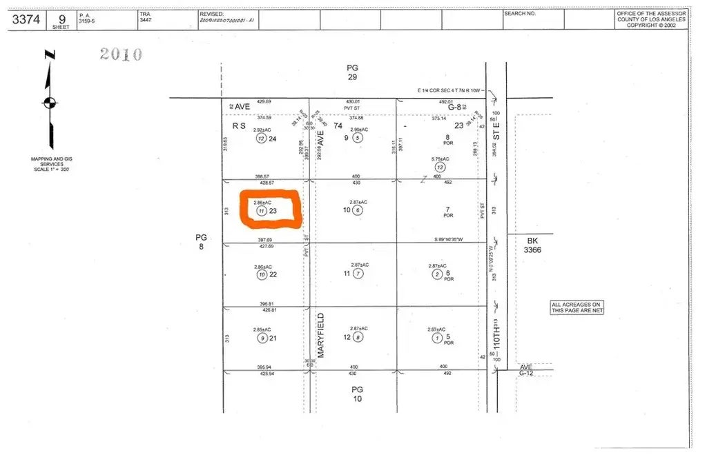
About E Avenue G-10

GREAT Opportunity! GREAT low priced 2.86 acre property. Level land and easy access to Antelope Valley. Lots of privacy for residential home and/or ranch. Easy to reach on dirt road. Buyer to verify and satisfy themselves regarding all aspects pertaining to subject property.

Features of E Avenue G-10

MLS® # CV24130711
Price $15,000
Acres 3.08
Type Land
Sub-Type Lots/Land
Status Active

Community Information

Address E Avenue G-10
Area LANCASTER (93535)
City Lancaster
County Los Angeles
State CA
Zip Code 93535

Amenities

Utilities N/K
Is Waterfront No
Has Pool Yes

Interior

Fireplace Yes

Additional Information

Date Listed June 25th, 2024
Days on Market 387
Foreclosure No
Short Sale No
RE / Bank Owned No

Listing Details

OfficeREALTY ONE GROUP MASTERS

Listing Map

Request a Showing

Provide a valid email address.
When would you like to view this property?