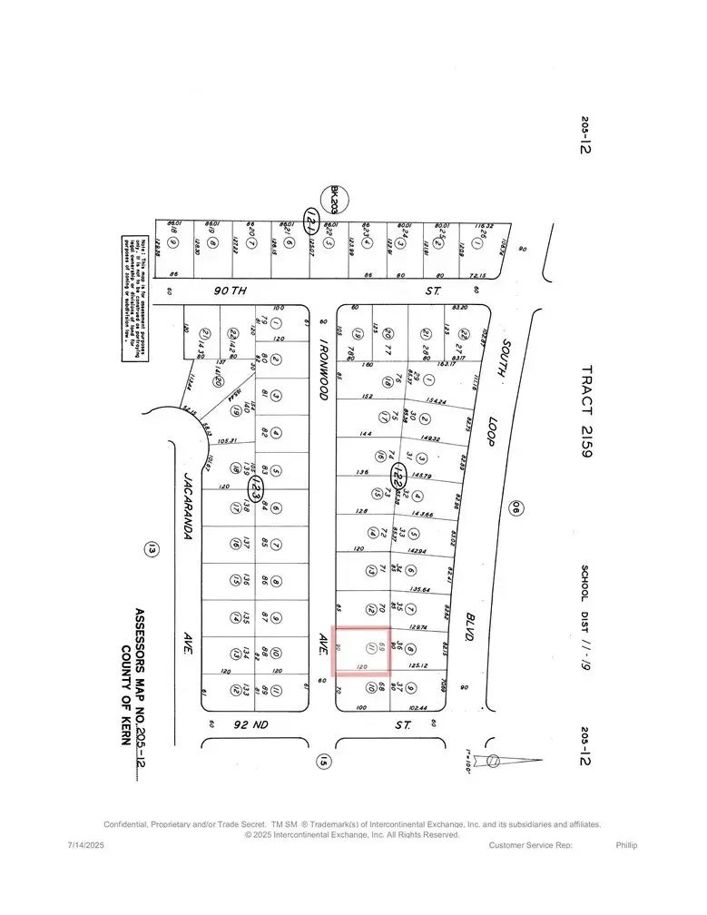
Ironwood Ave., California City, CA

$15,000

Previous Next

0.25

Acres

About Ironwood Ave.

10,825 sq ft of land....Build your dream home in the growing and affordable community of California City! Nestled between 90th and 92nd Street and just off South Loop Boulevard, this parcel is surrounded by new residential construction, making it the perfect location for a custom build or future investment. This flat, buildable lot is surrounded by newly constructed homes and offers an excellent opportunity for homebuilders, investors, or those seeking to design a custom residence in a quiet desert setting. Enjoy the potential for future appreciation as the city continues to develop, while benefiting from wide open spaces and the charm of high-desert living. Note: Buyers and agents are advised to conduct their own independent investigations regarding zoning, planning, access, development costs, and the availability and costs of utilities and services...etc.

Features of Ironwood Ave.

MLS® # AR25168317
Price $15,000
Acres 0.25
Type Land
Sub-Type Lots/Land
Status Active

Community Information

Address Ironwood Ave.
Area CALIFORNIA CITY (93505)
City California City
County Kern
State CA
Zip Code 93505

Amenities

Is Waterfront No
Has Pool Yes

Interior

Fireplace Yes

Exterior

Lot Description Sidewalks

Additional Information

Date Listed July 26th, 2025
Foreclosure No
Short Sale No
RE / Bank Owned No

Listing Details

OfficeReal Brokerage Technologies, Inc

Listing Map

Request a Showing

Provide a valid email address.
When would you like to view this property?